Обяви 2 За нас Контакти
Продава ПАРЦЕЛ
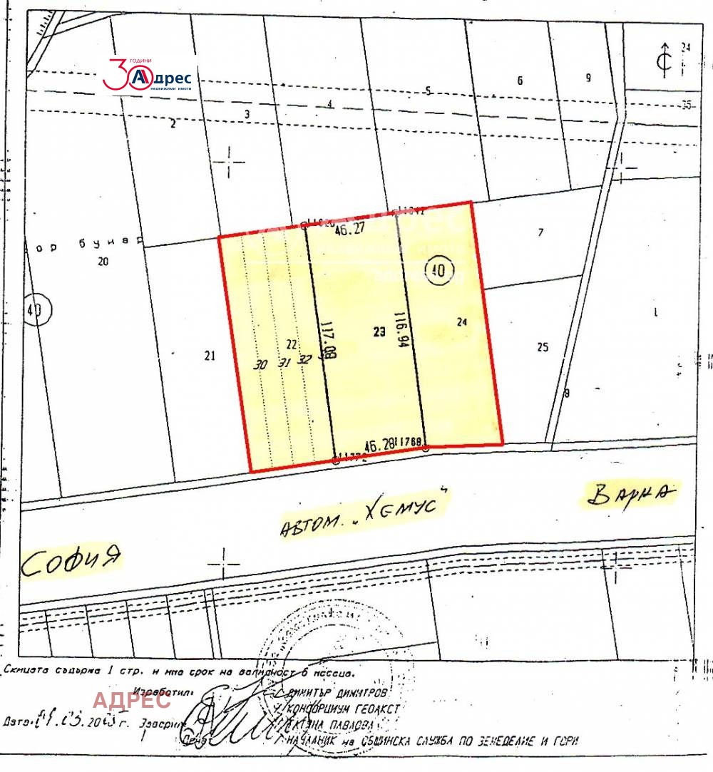
област Варна, гр. Аксаково
906 180 €
1 772 334.03 лв.

(60 €, 117.35 лв./m2)
Не се начислява ДДС
История на цената
Коригирана в 3:10 на 31 август, 2025 год.
Обявата е посетена 1307 пъти.
Площ:
15103 m2

Описание на имота:


Проект за логистична база в парцел с площ 15103 кв.м и с лице на АМ Хемус - 132 м. Приети ПУП с предназначение - Офис сгради и складови помещения с параметри на застрояване: Плътност - 60 %, Кинт - 1.6, Височина - до 10 м. Възможно РЗП - 25 000 кв.м.
АМ Хемус, на 1,5 км от МОТО ПФОЕ, посока Запад.
Проектът е съобразен със следните изисквания за логистичен парк: добра локация и инфраструктура достатъчно на брой товарни рампи с разтоварен шлюз вентилация и за някои специализирани складови наличности климатизация подпорно (междуколонно) разстояние минимум 12 м, стандартно е 18 - 24 м добра енергоефективност постоянна въоръжена охрана и видеонаблюдение височина поне 7 м достъп с поне два вида транспорт плац за маневриране и TIR паркинг с
достатъчно места еднопосочно движение с добра организация място за
хранене на специализирания обслужващ персонал банков клон митническа служба и складове за отговорно пазене под митнически надзор.
Обади се сега и цитирай този код 615526
За контакт:
088 21 21 460
Брокер:
Клиентски център АДРЕС, Кантора Цар Освободител
0882 121 460
Още оферти от брокера: Продава | Дава под наем | Купува | Наема
Агенция:
АДРЕС
0882 121 460
АДРЕС logo
Медал за прослужено време
В imot.bg от 2002 г.
adress.imot.bg
Адрес:
област Варна, гр. Варна, бул. Мария Луиза 17
http://www.address.bg
ИЗПРАТИ ЗАПИТВАНЕ
ИЗПРАТИ ЗАПИТВАНЕТО

Продава ПАРЦЕЛ
област Варна, гр. Аксаково
Обява: 1r171257971488151

906 180 €
1 772 334.03 лв.
История на цената
(60 €, 117.35 лв./m2)

Не се начислява ДДС
ЗАПАЗИ ОБЯВАТА

Местоположение: област Варна, гр. Аксаково